
Peter Blottman Photography/iStock via Getty Images
Google Deepmind (NASDAQ:GOOG)(NASDAQ:GOOGL) and Google Research have partnered with the U.S. National Hurricane Center to launch a new, interactive website focused on tropical cyclone predictions.
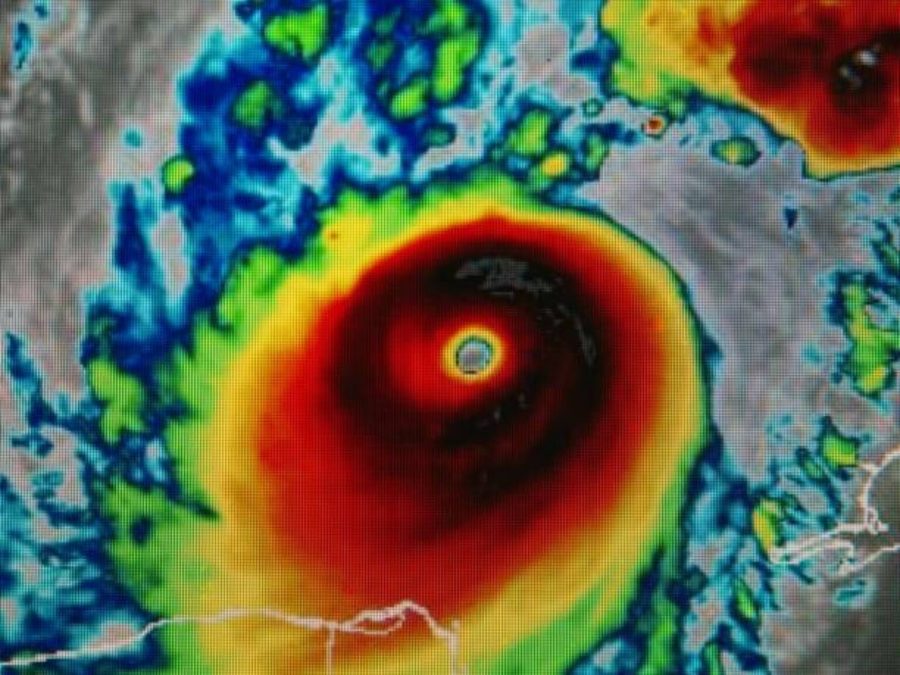
The new website, Weather Lab, utilizes Google’s latest artificial intelligence weather models, including its experimental AI-based tropical cyclone model, based on stochastic neural networks.
“This model can predict a cyclone’s formation, track, intensity, size and shape — generating 50 possible scenarios, up to 15 days ahead,” Google said.
“Internal testing shows that our model’s predictions for cyclone track and intensity are as accurate as, and often more accurate than, current physics-based methods,” Google added.
Weather Lab users can compare predictions from various AI and physics-based models.
It is a timely release, as the hurricane season officially began on June 1 and will end on November 30. Multiple research institutions and agencies expect an above-average hurricane season this year.
“A warmer-than-normal tropical Atlantic combined with likely ENSO (El Niño Southern Oscillation) neutral conditions typically provides a more conducive dynamic and thermodynamic environment for hurricane formation and intensification,” according to Colorado State University’s June 11 forecast. “We anticipate an above-average probability for major hurricanes making landfall along the continental United States coastline and in the Caribbean.”
This echoes a similar forecast by the National Oceanic and Atmospheric Administration. NOAA’s outlook expects a 60% chance of an above-normal season with 13 to 19 named storms. This includes three to five hurricanes ranking category 3 or higher.
The CSU forecasts calls for 17 named storms and four major hurricanes. The average number of named storms from 1991 to 2020 was 14.4 with 3.2 major hurricanes.
At the same time, U.S. President Donald Trump’s administration is seeking to slash NOAA funding by $1.3B, or about 25%.
“The Budget terminates a variety of climate-dominated research, data, and grant programs, which are not aligned with Administration policy-ending ‘Green New Deal’ initiatives,” reads the Fiscal Year 2026 Discretionary Budget Request. “For example, NOAA’s educational grant programs have consistently funded efforts to radicalize students against markets and spread environmental alarm.”
“Proposed budget cuts will impact NOAA’s core functions, including ocean monitoring, regional and coastal planning, climate research, and weather forecasting,” according to the Council on Foreign Relations.
More on Alphabet
- Alphabet: Still A Textbook Buying Opportunity On Dips
- Alphabet: Shares Trading 13%-35% Below Fair Value
- Alphabet: Non-Search Businesses Worth More Than Current Market Cap
- Amazon Web Services working on revamping Bedrock amid increased competition: report
- Google said to sign deal with Databricks to host Gemini models: report